Mangrove Cay Lots

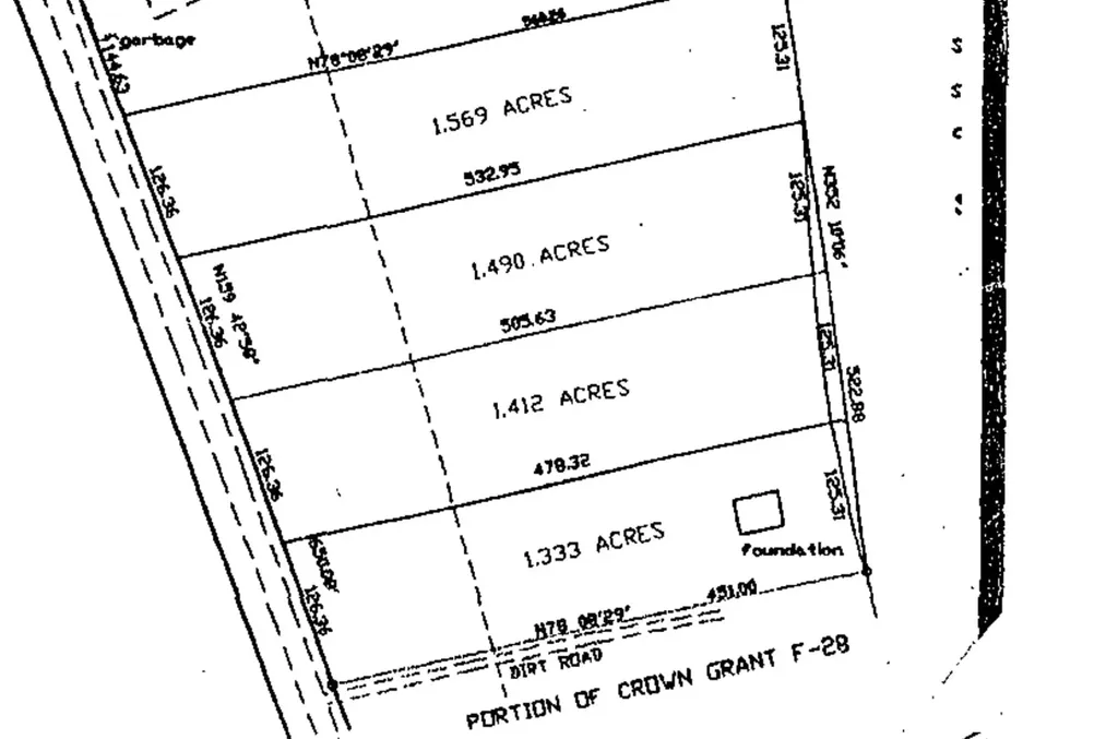
These two multi-family beachfront lots in Swains, Mangrove Cay, Lot 9 (1.412 acres) and Lot 10 (1.333 acres), offer an exceptional opportunity to own a piece of paradise on one of The Bahamas' most peaceful and naturally beautiful islands. Each lot features over 125 feet of pristine beachfront, ideal for a private residence, vacation rental, multi-family development, or bonefishing lodge. Conveniently located along Queen's Highway with power and water already pulled to the property, these lots are ready for your vision. As Mangrove Cay is recognized as one of the world's premier bonefishing regions, it's the perfect setting to create a bonefishing retreat that blends comfort with adventure. Known for its world-class bonefishing, welcoming community, and untouched natural beauty, Mangrove Cay offers a true slice of Bahamian paradise and a smart investment opportunity. Price is in US currency.

Property Details of Mangrove Cay

Property Details

Utilities and Appliances

Map Location

Listing Tools

Listing Courtesy of The Bahamas MLS

The data relating to real estate for sale/lease on this website comes in part from a cooperative data exchange program of the Bahamas Multiple Listing Service (MLS) in which these Brokers participate (BREA). The properties displayed may not be all of the properties in the Bahamas MLS database, or all of the properties listed with Brokers participating in the cooperative data exchange program. Properties listed by Brokers other than this Broker/Agent are marked with the IDX Symbol, indicating an agreement to exchange property information. Detailed information about such properties are noted as Courtesy of: The Bahamas MLS. Information provided is thought to be reliable but is not guaranteed to be accurate. You are advised to verify facts that are important to you. No warranties, expressed or implied, are provided for the data herein, or for their use or interpretation by the user. This information is protected from unlawful duplication by copyright.

Hi there! How can we help you?

Contact us using the form below or give us a call.

Send Us A Message:

I agree to receive marketing and customer service calls and text messages from Pitt Property Group. To opt out, you can reply 'stop' at any time or click the unsubscribe link in the emails. Consent is not a condition of purchase. Msg/data rates may apply. Msg frequency varies. Privacy Policy.

Do not fill in this field:

This site is protected by reCAPTCHA and the Google Privacy Policy and Terms of Service apply.

Hi there! How can we help you?

Contact us using the form below or give us a call.

Send Us A Message:

Do not fill in this field:

This site is protected by reCAPTCHA and the Google Privacy Policy and Terms of Service apply.

Hi there! How can we help you?

Contact us using the form below or give us a call.

Send Us A Message:

Do not fill in this field:

This site is protected by reCAPTCHA and the Google Privacy Policy and Terms of Service apply.

Do not fill in this field:

This site is protected by reCAPTCHA and the Google Privacy Policy and Terms of Service apply.

Do not fill in this field:

This site is protected by reCAPTCHA and the Google Privacy Policy and Terms of Service apply.

Do not fill in this field:

This site is protected by reCAPTCHA and the Google Privacy Policy and Terms of Service apply.

$

Do not fill in this field:

This site is protected by reCAPTCHA and the Google Privacy Policy and Terms of Service apply.